ew
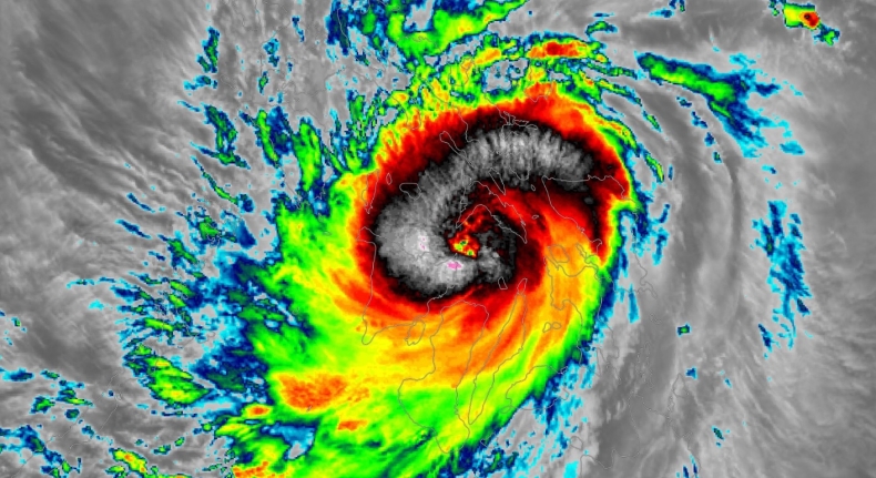
Do 47 wzrosła liczba ofiar śmiertelnych tajfunu Phanfone, który na początku ubiegłego tygodnia uderzył w Filipiny - poinformowały w poniedziałek rano filipińskie media. Dziewięć osób uznaje się za zaginione.
Żywioł uderzył w środkową część Filipin we wtorek wieczorem czasu lokalnego. Prędkość wiatru, któremu towarzyszył ulewny deszcz, sięgała w porywach 200 km/godz.
Tajfun poważnie zakłócił obchody Bożego Narodzenia w rejonach, zamieszkanych w większości przez katolików. Wiele osób mieszkających blisko morza lub w strefach powodziowych zostało zmuszonych do ucieczki ze swoich domów.
Filipiny są jednym z najbardziej narażonych na katastrofy regionów na świecie. Każdego roku kraj ten jest atakowany przez około 20 silnych burz tropikalnych i znajduje się w tzw. pacyficznym pierścieniu ognia, czyli strefie częstych trzęsień ziemi i erupcji wulkanicznych na Pacyfiku.
Na plaży w Lipawie został znaleziony dron. Łotweskie wojsko go zidentyfikowało
ARP S.A. podpisało trzy listy intencyjne w sektorze defence. Celem wzmocnienie krajowego potencjału obronnego
Polska i Norwegia współautorami bezpieczeństwa Bałtyku
Szef MON: zespół zadaniowy ds. programu ORKA przygotował rekomendacje dla rządu
Przełożony start rakiety z polskimi satelitami. Pozwolą skuteczniej monitorować sytuację na Bałtyku
Rosyjska Flota Pacyfiku ćwiczyła na Oceanie Indyjskim. Kreml szuka partnerów w Azji